Trung tâm Dự báo khí tượng thủy văn cho biết: Lúc 9 giờ ngày 23.9, tâm siêu bão Ragasa ở vào khoảng 20,2 độ vĩ bắc và 117,7 độ kinh đông, cách bán đảo Lôi Châu (Trung Quốc) khoảng 790 km về phía đông. Sức gió mạnh nhất đạt cấp 16 - 17 (tương đương từ 184 - 221 km/giờ), giật trên cấp 17.

Áp thấp nhiệt đới mới (a) xuất hiện ở phía đông Philippines dự báo sẽ mạnh lên thành bão. Ký hiệu 18 là siêu bão Ragasa trên Biển Đông
NGUỒN: JMA
Dự báo, trong 3 giờ tới, bão tiếp tục di chuyển theo hướng tây tây bắc, tốc độ khoảng 20 km/giờ.
Trong khi đó, cập nhật mới nhất từ Cơ quan Khí tượng Nhật Bản (JMA), sáng nay ở phía đông Philippines mới xuất hiện áp thấp nhiệt đới, di chuyển về hướng đất liền khu vực miền Trung Philippines rồi vào Biển Đông. Dự báo sẽ mạnh lên thành bão và vào Biển Đông khoảng ngày 26 - 29.9, trở thành cơn bão số 10.
Th.S Lê Thị Xuân Lan, chuyên gia dự báo khí tượng thủy văn cho biết thêm: Áp thấp nhiệt đới này có khả năng sẽ nhanh chóng phát triển thành bão vượt qua Philippines vào Biển Đông và ảnh hưởng trực tiếp đến đất liền nước ta. Nhiều khả năng cũng là cơn bão có cường độ rất mạnh nhưng không bằng siêu bão Ragasa.
Áp thấp nhiệt đới mới ở giữa 2 cơn bão mạnh Ragasa và Neoguri nên chịu tác động chi phối đáng kể từ 2 cơn bão này. Do vậy, trong những ngày tới, diễn biến của áp thấp nhiệt đới sẽ còn nhiều biến đổi phức tạp, cần tiếp tục theo dõi thêm.
Hiện tại, đang là cao điểm mùa mưa bão trên vùng biển Thái Bình Dương và cùng lúc tồn tại 4 cơn bão, trong đó có 3 cơn bão rất mạnh. Mùa mưa bão năm nay tiếp tục diễn biến phức tạp, mọi người cần đề cao cảnh giác và chủ động phòng tránh các tình huống nguy hiểm.

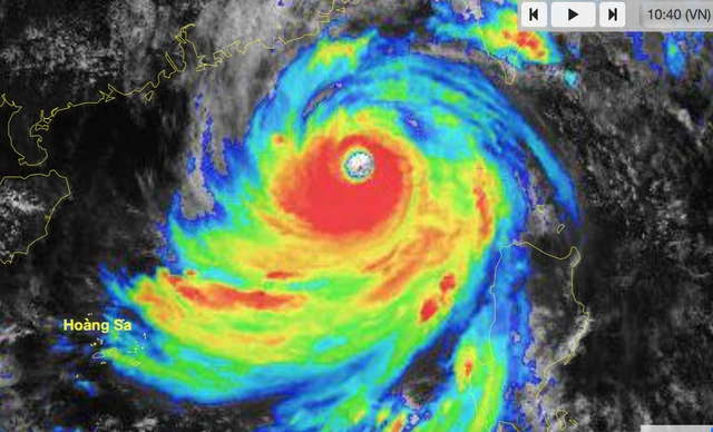
Siêu bão Ragasa trên Biển Đông mạnh cấp 16 - 17
NGUỒN: HYMETNET
Do ảnh hưởng của siêu bão Ragasa, trong ngày hôm nay trên đất liền nước ta nhiều nơi có mưa lớn. Khu vực tây Bắc bộ, Tuyên Quang, từ Thanh Hóa đến Quảng Ngãi có mưa với lượng từ 15 - 30 mm, cục bộ có nơi mưa to trên 80 mm.
Khu vực Tây nguyên lượng mưa từ 20 - 40 mm, cục bộ có nơi mưa rất to trên 100 mm. Khu vực Nam bộ chiều và tối 23.9 có mưa rào và giông rải rác, lượng mưa 10 - 30 mm, cục bộ có nơi mưa to trên 60 mm.
Từ đêm 24.9 đến hết đêm 26.9, ở Bắc bộ, Thanh Hóa và Nghệ An có mưa to đến rất to, tổng lượng mưa phổ biến 100 - 250 mm, cục bộ có nơi trên 400 mm. Cảnh báo mưa lớn cục bộ có khả năng gây ra lũ quét trên các sông, suối nhỏ, sạt lở đất ở sườn dốc và ngập úng tại các vùng trũng, thấp, khu đô thị.