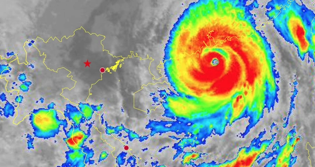
Trung tâm Dự báo khí tượng thủy văn cho biết, hồi 4 giờ ngày 24.9, vị trí tâm siêu bão Ragasa ở vào khoảng 21,3 độ vĩ bắc và 114,3 độ kinh đông; trên vùng biển phía bắc của khu vực bắc Biển Đông, cách Móng Cái (Quảng Ninh) khoảng 650 km về phía đông. Sức gió mạnh nhất vùng gần tâm siêu bão mạnh cấp 15 - 16 (tương đương 167 - 201 km/giờ), giật trên cấp 17. Di chuyển theo hướng tây tây bắc với tốc độ khoảng 20 km/giờ.

Siêu bão Ragasa còn cách Móng Cái (Quảng Ninh) 650 km, Bắc bộ đón đợt mưa rất to
NGUỒN: HYMETNET
Bão số 9 (Ragasa) gây gió mạnh cấp 10 - 13 trên vùng biển phía bắc khu vực bắc Biển Đông vùng gần tâm siêu bão cấp 14 - 16, giật trên cấp 17, sóng cao trên 10 m, biển động dữ dội.
Từ trưa 24.9, vùng biển phía đông của bắc vịnh Bắc Bộ (bao gồm đặc khu Bạch Long Vỹ) có gió mạnh dần lên cấp 6 - 7, giật cấp 9. Từ đêm 24.9, khu vực bắc vịnh Bắc Bộ (bao gồm đặc khu Bạch Long Vỹ, Vân Đồn, Cô Tô, Cát Hải và đảo Hòn Dấu) gió mạnh dần lên cấp 8, sóng biển cao 2 - 4m, vùng gần tâm bão đi qua cấp 9 - 11, giật cấp 13, sóng biển cao 3 - 5m; biển động rất mạnh.
Ven biển Quảng Ninh - Hải Phòng nước dâng do bão cao 0,4 - 0,6m. Nguy cơ cao sạt lở đê, kè biển, phá hủy khu nuôi trồng thủy sản, tàu, thuyền neo đậu ven biển do gió mạnh, nước biển dâng và sóng lớn
Trên đất liền từ gần sáng 25.9, ven biển Quảng Ninh - Ninh Bình gió mạnh dần lên cấp 6 - 7, vùng gần tâm bão cấp 8 - 9, giật cấp 11; sâu trong đất liền phía đông Bắc bộ gió mạnh cấp 5, có nơi cấp 6, giật cấp 7 - 8.
Từ đêm 24.9 đến hết đêm 26.9, ở khu vực Bắc bộ, Thanh Hóa và Nghệ An có mưa to đến rất to với lượng mưa phổ biến 100 - 250mm, cục bộ có nơi trên 400mm. Đề phòng mưa với cường suất lớn gây ngập úng đô thị. Mưa lớn có khả năng gây ra tình trạng ngập úng tại các vùng trũng, thấp; lũ quét trên các sông, suối nhỏ, sạt lở đất trên sườn dốc.
Bão Bualoi vào Biển Đông trong 2 ngày tới

Bão Bualoi mới hình thành ở phía đông Philippines, sẽ vào Biển Đông tạo ra tình trạng bão chồng bão . Sự tương tác giữa 2 cơn bão gây ra diễn biến thời tiết rất phức tạp trong những ngày tới
NGUỒN: JMA
Trong khi siêu bão Ragasa đang tiến vào đất liền nước ta thì đêm qua áp thấp nhiệt đới ở phía đông Philippines đã mạnh lên thành bão, cơn bão thứ 20 trên Thái Bình Dương có tên quốc tế là Bualoi. Theo Cơ quan khí tượng Nhật Bản (JMA), tâm bão ở vào khoảng 9,6 độ vĩ bắc và 133 độ kinh đông, sức gió mạnh nhất ở vùng tâm bão mạnh cấp 9, giật cấp 10 - 11. Dự báo bão sẽ còn mạnh thêm và đổ bộ và khu vực miền trung của Philippines sau đó vào Biển Đông vào khoảng ngày 26 - 27.9.
Sau khi vào Biển Đông trở thành cơn bão số 10 thì bão số 9 và 10 sẽ tương tác với nhau gây ra một vùng mây giông rộng lớn trên khu vực bắc và giữa Biển Đông, khiến thời tiết rất phức tạp trong những ngày tới, mưa lớn kéo dài từ Bắc bộ đến Trung bộ.