TPHCM muốn thu ngàn tỷ từ đấu giá khu đất gần 3ha

03/10/2025 03:14
Khu đất rộng hơn 2,92 ha là loại đất thương mại, dịch vụ đang do Chi nhánh Trung tâm Phát triển quỹ đất khu vực Bà Rịa - Vũng Tàu quản lý. Hình thức cho thuê đất là cho thuê đất trả tiền một lần cho cả thời gian thuê. Giá tính tiền thuê đất và tài sản gắn liền với đất được phê duyệt là 1.064 tỷ đồng.

UBND TPHCM vừa thông báo công khai việc lựa chọn nhà đầu tư đề xuất dự án đối với khu đất rộng hơn 2,92 ha cùng tài sản gắn liền với đất, tọa lạc tại phường Vũng Tàu .

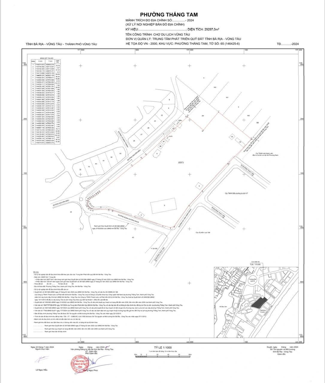
Khu đất có phía Tây Bắc giáp đường Nguyễn Biểu (lộ giới quy hoạch 21m), phía Đông Bắc giáp cao ốc Sơn Thịnh, phía Đông Nam giáp đường Sư Vạn Hạnh (lộ giới quy hoạch 13m), phía Tây Nam giáp đường Xuân Hương (Lộ giới quy hoạch 14m).

TPHCM muốn thu ngàn tỷ từ đấu giá khu đất gần 3ha - Ảnh 1

Sơ đồ, vị trí khu đất sắp đấu giá ở phường Vũng Tàu .

Khu đất rộng hơn 2,92 ha là loại đất thương mại, dịch vụ đang do Chi nhánh Trung tâm Phát triển quỹ đất khu vực Bà Rịa - Vũng Tàu quản lý. Hình thức cho thuê đất là cho thuê đất trả tiền một lần cho cả thời gian thuê. Thời hạn sử dụng đất 50 năm, kể từ ngày ký quyết định cho thuê đất.

Giá tính tiền thuê đất và tài sản gắn liền với đất được phê duyệt là 1.064 tỷ đồng. Đây là giá khởi điểm để tổ chức đấu giá quyền sử dụng đất theo quyết định 3509/QĐ-UBND ngày 26/12/2024 của UBND tỉnh Bà Rịa - Vũng Tàu trước đây.

Các tổ chức có nhu cầu thuê quyền sử dụng khu đất cùng tài sản gắn liền tại khu đất nói trên có thể nộp hồ sơ tại UBND TPHCM (số 86 Lê Thánh Tôn, phường Sài Gòn hoặc Sở Nông nghiệp và Môi trường TPHCM ở số 1 Phạm Văn Đồng, phường Bà Rịa).

Trước đây, khu đất này là chợ du lịch cũ, có vị trí đắc địa khi tọa lạc ngay trung tâm khu vực Bãi Sau, xung quanh là các khách sạn và khu vui chơi giải trí.

Năm 2012, khu đất trên được UBND tỉnh Bà Rịa - Vũng Tàu (trước đây) cho Công ty CP Khoa học công nghệ Việt Nam (Busadco) thuê để làm chợ du lịch Vũng Tàu . Sau đó, UBND tỉnh Bà Rịa - Vũng Tàu sắp xếp lại, xử lý nhà, đất thuộc sở hữu Nhà nước của Busadco. Đến tháng 2/2020, UBND tỉnh Bà Rịa - Vũng Tàu ra quyết định thu hồi khu đất, giao cho Trung tâm Phát triển quỹ đất tỉnh quản lý.

Hồi tháng 2 năm nay, khu đất này từng được thông báo về giá bán đấu giá. Giá khởi điểm được công bố hơn 1.000 tỷ đồng, bao gồm giá trị tài sản trên đất hơn 10 tỷ đồng. Hình thức đấu giá cho thuê đất thu tiền một lần cho cả thời gian sử dụng 50 năm. Người đấu giá phải đặt cọc hơn 212 tỷ đồng.

TPHCM muốn thu ngàn tỷ từ đấu giá khu đất gần 3ha - Ảnh 2

Bên trong khu đất sắp đấu giá. Ảnh: NLĐ.

Tại quyết định 3587/2024, UBND tỉnh Bà Rịa - Vũng Tàu đã chấp thuận chủ trương đầu tư dự án Khu thương mại dịch vụ du lịch cao cấp tại khu đất 29.297m2 nói trên, hình thức lựa chọn nhà đầu tư là đấu giá quyền sử dụng đất theo quy định pháp luật về đất đai.

Khu đất được quy hoạch gồm 3 khu chức năng chính là đất công trình dịch vụ, với diện tích khoảng hơn 28.887 m2; đất cây xanh với diện tích khoảng 264,7 m2 và đất công trình hạ tầng kỹ thuật với diện tích khoảng 245 m2. Mật độ xây dựng toàn khu khoảng 40%, được giới hạn bởi 33 tầng cao.

Mục tiêu của khu đất là xây dựng khu trung tâm thương mại đẳng cấp, dịch vụ đa dạng, hiện đại, kiến trúc độc đáo; mang đến cho du khách trong và ngoài nước tận hưởng một khu thương mại, mua sắm, nghỉ dưỡng cao cấp. Tổng mức đầu tư thực hiện dự án hơn 6.821 tỷ đồng.

Tin mới

Bóc trần đường dây nghìn tỷ của vợ chồng Mailisa: Mua mỹ phẩm giá rẻ từ Trung Quốc, phù phép giấy tờ thành "mỹ phẩm ngoại xịn"
10 giờ trước
Lực lượng chức năng bước đầu xác định vợ chồng bà Phan Thị Mai đã câu kết với các đối tượng người Trung Quốc, ký kết hợp đồng ngụy tạo, thay đổi nguồn gốc mỹ phẩm (từ Quảng Châu, Trung Quốc thành Hồng Kông) để được cấp CFS tại Hồng Kông, tổ chức nhập lậu về Việt Nam.
Sữa ByHeart nhiễm khuẩn: Cảnh báo người tiêu dùng Việt
10 giờ trước
Một số sàn thương mại điện tử tại Việt Nam có kinh doanh sữa ByHeart. Cục An toàn thực phẩm đề nghị gỡ bỏ để bảo vệ người tiêu dùng.
Khởi tố 8 bị can trong vụ án buôn lậu liên quan đến hệ sinh thái Mailisa
9 giờ trước
VTV.vn - Cơ quan Cảnh sát điều tra, Bộ Công an vừa ra quyết định khởi tố 8 bị can trong vụ án "Buôn lậu" liên quan đến hệ sinh thái Mailisa.
Phát hiện 90 tấn vàng, 237 tấn bạc và ngọc lục bảo trị giá hơn 400 nghìn tỷ đồng trên một con thuyền
9 giờ trước
Con thuyền này chứa đầy kho báu bao gồm vàng, bạc và các viên ngọc lục bảo lớn.
Biến động mới tại VinFast
9 giờ trước
Số lượng xe máy điện và xe đạp điện được bàn giao trong Quý III/2025 đạt 120.052 chiếc, tăng 535% so với cùng kỳ năm trước và tăng 73% so với quý trước. Lũy kế 9 tháng đầu năm, Công ty đã bàn giao tổng cộng 234.536 xe máy điện và xe đạp điện, tăng 489% so với cùng kỳ.

Tin cùng chuyên mục

Dòng tiền đầu tư BĐS đang dịch chuyển về Biên Hoà
7 giờ trước
Khi dòng tiền đầu tư bất động sản đang dịch chuyển mạnh mẽ về Đồng Nai nhờ hạ tầng đồng bộ và lợi suất hấp dẫn, Fresia Riverside tại Biên Hòa nổi lên như một điểm đến hấp dẫn cho những nhà đầu tư tìm kiếm giá trị bền vững trong chu kỳ phát triển mới.
Đồng Nai sẽ áp dụng cơ bản phân làn trên Quốc lộ 51 đồng bộ với TP HCM
5 giờ trước
Để đảm bảo giao thông thông suốt, an toàn và đồng bộ, Đồng Nai sẽ áp dụng việc triển khai phân làn ô tô và xe máy trên Quốc lộ 51 như ở TP HCM
Đà Nẵng sẽ thu hồi hơn 866 ha đất của 5.100 hộ dân để triển khai đường sắt tốc độ cao 67 tỷ USD VinSpeed và THACO cùng xin thực hiện
5 giờ trước
Dự án đường sắt tốc độ cao trên trục Bắc – Nam đoạn qua Đà Nẵng dài hơn 116 km, đi qua 24 xã, phường. Quy mô GPMB của dự án tại thành phố là rất lớn, dự kiến thu hồi hơn 866 ha đất, tác động đến khoảng 5.100 hộ dân.
Tập đoàn xe lửa hàng đầu Trung Quốc muốn tham gia làm tuyến metro Văn Cao - Hòa Lạc hơn 65.000 tỷ đồng, chuẩn bị khởi công vào dịp 19/12 tới
5 giờ trước
Phó Chủ tịch Hội đồng quản trị CRRC Đại Liên bày tỏ mong muốn hợp tác tham gia các dự án của TP Hà Nội, đặc biệt là tuyến metro Hà Nội số 5 Văn Cao - Hòa Lạc.